Sinlaku trở thành siêu bão, mạnh nhất thế giới từ đầu năm đến hiện tại

13/04/2026 08:25

(NLĐO) - Tối 12-4, Sinlaku đã đạt cấp siêu bão, trở thành cơn bão mạnh nhất thế giới từ đầu năm 2026 đến nay

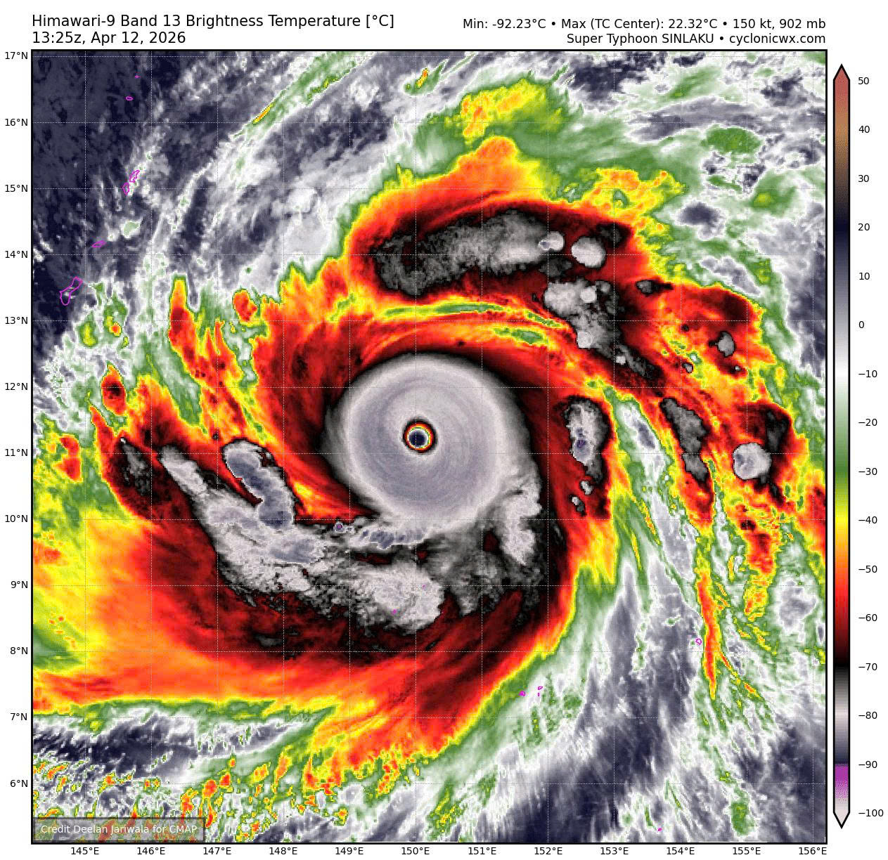
Với cấp siêu bão, Trung tâm Dự báo khí tượng thủy văn quốc gia cho biết sức gió vùng tâm siêu bão Sinlaku đã tăng lên 105 kts (hải lý/giờ), tương đương cấp 16, giật trên cấp 17.

Siêu bão Sinlaku 2026 mạnh nhất thế giới và những diễn biến bất ngờ - Ảnh 1.

Sinlaku mạnh lên thành siêu bão

Đây là cơn bão đầu tiên trong năm 2026 đạt cường độ này, đồng thời là lần đầu xuất hiện trong tháng 4 kể từ bão Surigae (2021), và chỉ là lần thứ ba kể từ năm 1977.

Dự báo đường đi của siêu bão Sinlaku

bonewsrelation -->

Siêu bão Sinlaku 2026 mạnh nhất thế giới và những diễn biến bất ngờ - Ảnh 2.Bão Sinlaku dự báo mạnh lên cấp "siêu bão", có vào Biển Đông?ĐỌC NGAY

Hiện tại, Sinlaku cũng là cơn bão mạnh nhất thế giới trong năm 2026, với áp suất trung tâm 920 hPa (tính đến thời điểm hiện tại), vượt qua bão Maila ở khu vực Úc (924 hPa).

Theo Trung tâm Dự báo khí tượng thủy văn quốc gia, đây sẽ là siêu bão đầu tiên hoạt động trên khu vực Tây Bắc Thái Bình Dương trong mùa bão lũ năm nay và là một trong số rất ít cơn siêu bão xuất hiện ngay trong tháng 4.

Theo các chuyên gia, cường độ của siêu bão Sinlaku mạnh nhất vào khoảng cấp 16-17, giật trên cấp 17; sau khi mạnh lên thành siêu bão, siêu bão Sinlaku sẽ đổi hướng di chuyển lên phía Bắc, sau đó nhiều khả năng sẽ tiếp tục đổi hướng một lần nữa thành hướng Bắc Đông Bắc vào khoảng ngày 16 đến 17-4 và di chuyển tới vùng biển phía Đông của Nhật Bản và cường độ sẽ giảm cấp dần.

Hiện tại, các dự báo bão đều cho thấy bão Sinlaku sẽ không có khả năng đi vào khu vực Biển Đông. Trung tâm Dự báo khí tượng thủy văn quốc gia cho biết vẫn đang theo dõi sát diễn biến của siêu bão đầu mùa này.

Năm 2026, các chuyên gia dự báo hoạt động của bão và áp thấp nhiệt đới trên Biển Đông từ tháng 3 đến tháng 7-2026 có khả năng ở mức tương đương trung bình nhiều năm.

Theo dự báo mới nhất từ Trung tâm Dự báo khí tượng thủy văn quốc gia, từ tháng 8 đến tháng 12-2026, số lượng bão, áp thấp nhiệt đới có thể thấp hơn trung bình (trung bình nhiều năm trên Biển Đông khoảng 9,6 cơn, trong đó khoảng 3,8 cơn ảnh hưởng trực tiếp đến đất liền nước ta).

Tuy nhiên, trong điều kiện nền nhiệt mặt nước biển cao và ENSO nghiêng nóng, cần đặc biệt đề phòng những cơn bão có cường độ mạnh, diễn biến nhanh, quỹ đạo phức tạp và mức độ rủi ro cao.

Bạn đang đọc bài viết "Sinlaku trở thành siêu bão, mạnh nhất thế giới từ đầu năm đến hiện tại" tại chuyên mục ĐỜI SỐNG. Mọi thông tin phản hồi, góp ý xin gửi về địa chỉ email: chuyendongthitruong.vn@gmail.com; phutrachnoidung@gmail.com hoặc liên hệ hotline: 0903 78 12 09.